更多
APP下载
合作
商城
签到
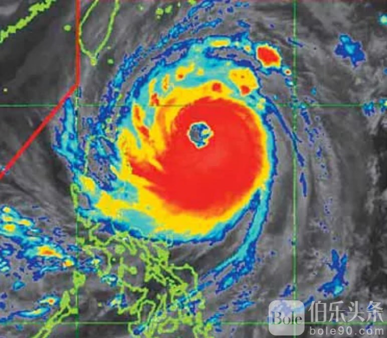
台风“黎旺”快速升级,或今夜成超强台风
2024-10-30 11:06
头条新闻
17421

伯乐头条专讯:菲律宾国家气象局昨晚11时发布公告称,台风“黎旺”(国际名称“康妮”)威力迅速增强,其中心最大持续风速已从每小时150公里增至155公里,瞬时风速从185公里增至190公里。昨晚10时,“黎旺”位于卡加延省东部450公里处的洋面上,以每小时15公里的速度向西北方向移动。

气象局预计“黎旺”可能在10月30日晚间升级为超强台风,但周四早间可能再次减弱为台风。“黎旺”或将掠过菲律宾最北端的描丹尼斯(巴坦群岛),并不排除登陆的可能性。气象局预测周四下午“黎旺”将在台湾东南沿海登陆。

降雨预报

台风“黎旺”将于未来两天为菲律宾多地带来持续降雨,预报情况如下:

周二夜间至周三夜间
大暴雨(超过200毫米):描丹尼斯省(巴坦群岛)、卡加延省
大到暴雨(100-200毫米):北怡洛戈省、亚巴瑶省、依莎迷拉省、西民多洛省、安蒂克省
中到大雨(50-100毫米):南怡洛戈省、盒捞省、加凌牙省、朗仑省、西黑人省、亚克兰省、Calamian岛

周三夜间至周四夜间
大暴雨(超过200毫米):描丹尼斯省、巴布渊群岛
大到暴雨(100-200毫米):卡加延省、西民多洛省
中到大雨(50-100毫米):北怡洛戈省、盒捞省、三描礼士省、巴达安、布拉干省、黎剎省、内湖省、甲美地省、八打雁省、Calamian岛、朗仑省、安蒂克省、亚克兰省

周四夜间至周五夜间
中到大雨(50-100毫米):描丹尼斯省、三描礼士省、巴达安、甲美地、八打雁、西民多洛省、Calamian岛

风力警报

截至昨晚11时,菲律宾北部8个省悬挂二号风球信号(风速每小时62-88公里,具中等威胁),米骨区和吕宋岛中北部15个省则悬挂一号风球信号(风速每小时39-61公里,具轻度威胁)。
社区好帖更多帖子
返回顶部